严控医疗器械相关产品质量,我“徕”守护

据统计,过去十年,有超过7000万人在体内植入了各式各样的医疗器械,比如心脏起搏器、白内障镜片、机械假肢……很多医疗器械一旦被植入人体体内,往往也意味着它们将伴随患者一生。医疗器械行业一直是我国医疗事业中的重要组成部分,随着科技的不断进步和社会的发展,这一行业也在不断迎来新的机遇与挑战。让我们一同探讨医疗器械行业的发展趋势和未来展望。
在医疗器械行业,我们经常对产品部件进行手动目视检查,以便进行产品质量保证和质量控制(QA/ QC),尽管手动目视检查可能会导致出现结果不一致的情况。手动检查之所以如此困难且可靠度不高,其原因是多方面的。而手动检查所面临的挑战,以及数字化增强检查解决方案如何能够克服这些挑战也一直是人们讨论的话题。
徕卡显微系统有完整的目视检查解决方案,可提供可靠的图像数据。通过有效地识别、分析、验证和记录缺陷来确保您的医疗器械符合法规要求。特别是涉及到风险等级较高的II类和III类医疗器械时,例如心血管支架、牙科植入物、导管和许多其他可植入物,您可获益于这些解决方案。
配备Flexacam i5 显微镜相机的M80 体视显微镜方案

全新Ivesta 3 体视显微镜解决方案

应用案例:
支架和齿科植入物外观检测
(超景深)数码显微镜解决方案


应用案例:
人工关节检测
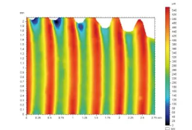
利用徕卡数码显微镜以及DVM6的3维成像功能,可用于人工关节3D观察及测量,进行关节磨损实验等等。同时可以结合Leica Map软件,进行关节表面粗糙度分析,和涂层厚度及孔隙率分析等等,为骨科植物的研发生产带来高效的检测手段。

Leica MAP 软件
基于您应用需求的多样化功能配置可供选择

用于3D表面纹理分析的高级研究
表面分析,从使用ISO 25178分割算法的完整表面中提取几何次表面(例如组件层),即时计算其平面度,并以与完整表面相同的方式进行分析
更多的表面纹理和形状参数,ISO 25178和EUR 15178(Surfstand)功能体积、空间和混合参数,ISO 12178平面度参数
功能体积分析(磨损和润滑),以图形方式显示ISO 25178和Sk功能体积参数,以便于磨损和润滑研究;研究峰值/晶粒/颗粒分布和密度
从图像中提取的轮廓剖面和水平轮廓的基本几何尺寸和公差计算
使用交互式工具计算轮廓尺寸,例如距离、半径、直径和角度

定义标准尺寸公差,并显示合格/不合格

计算ISO 25178粗糙度参数(Spd、Spc、S5p、S5v、S10z、Sha、Sda、Shv、 Sdv),并在摩擦学研究中应用Spd(峰值密度)和Spc(算术平均峰值曲率)参数,例如塑性和弹性
颗粒分类,检测到的颗粒可以根据其特征(如几何形状、高度或大小)分为不同的类别

专业表面分析工具拓展
曲面几何图形,测量轮廓和曲面上的距离和台阶高度; 结构分析,评估孔洞和山峰的面积和深度
基本的2D和3D滤波技术,滤波粗糙度和波纹度,使用ISO标准滤波器(高斯滤波器、样条滤波器等)
基本二维剖面参数和三维面参数,例如ISO 4287参数、ISO 25178参数等


结 语
总的来说,医疗器械行业正处在一个充满希望和挑战并存的时期,也正迎来巨大的变革。随着科技的不断进步,智能医疗设备将成为行业的重要驱动力。显微镜在提高医疗器械安全性方面发挥着不可替代的作用,从智能检测到远程诊断,这些技术的应用将提高医疗效率,为患者提供更加便捷的医疗服务。随着科技的不断创新、进步,相信显微镜的运用也会帮助医疗器械领域相关产品更加精准、安全。